Melissa se convierte en huracán categoría 1 en el Caribe 

Imagen relacionada a la nota

sábado 25 octubre 2025 1:04 PM

Redactor : Alejandra López Lizalde

Melissa se convirtió en huracán categoría 1 este sábado en el Caribe, donde se espera que gane intensidad rápidamente hasta llegar a ser una peligrosa tormenta que llevará fuertes lluvias a Jamaica y porciones de la Española, informó el Centro Nacional de Huracanes (NHC).

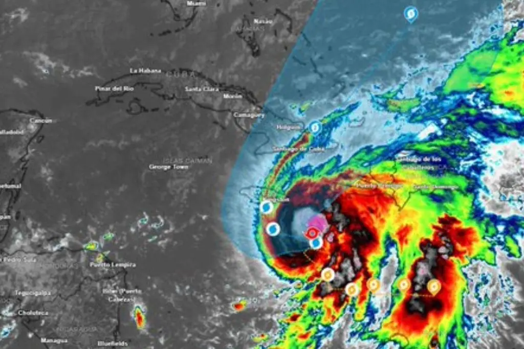
El centro de Melissa se encontraba esta tarde a unos 230 kilómetros al sureste de Kingston y a unos 380 kilómetros al suroeste de Puerto Príncipe, Haití, con vientos sostenidos de 120 kilómetros por hora y un desplazamiento lento hacia el oeste-noroeste a cerca de 2 kilómetros por hora, según el parte más reciente del NHC.

Los pronósticos del centro, con sede en Miami, advierten que Melissa podría fortalecerse rápidamente en las próximas 24 horas, con posibilidades de que evolucione en un "huracán mayor para el domingo".

Hasta principios de la semana próxima se esperan "catastróficas inundaciones repentinas y deslizamientos, ambos con peligro para la vida", en Jamaica, actualmente bajo alerta de huracán, y porciones del sur de Haití y República Dominicana, ambos bajo vigilancia por fuertes lluvias.

Los meteorólogos esperan que el ciclón gire hacia el norte y el noreste entre el lunes y el martes.

De acuerdo con la trayectoria pronosticada, el centro de Melissa se movería cerca de Jamaica durante este fin de semana y el inicio de la próxima, cuando se ubicaría cerca o sobre el este de Cuba el miércoles o jueves.

Melissa podría descargar un total de 38 a 63 centímetros de lluvia (15 a 25 pulgadas) en partes del sur de la Española y Jamaica en los próximos días, con posibilidades de hasta unos 89 centímetros (35 pulgadas) en la península haitiana de Tiburón, según el NHC, que advierte sobre posibles fuertes precipitaciones en el este de Cuba.

La tormenta ya causó al menos tres muertos en Haití y más de 1,2 millones de personas están sin agua potable en la República Dominicana, donde la tormenta también dejó fuera de servicio decenas de acueductos y provocó el desplazamiento de cientos de personas.

Con Melissa ya suman 13 los ciclones de esta temporada en el Atlántico: los huracanes Erin, Gabrielle, Humberto e Imelda, y las tormentas Andrea, Barry, Chantal, Dexter, Fernand, Jerry, Karen, Lorenzo y Melissa, entre las que Chantal ha sido la única en tocar tierra en EE.UU. en julio, dejando dos muertos en Carolina del Norte.

Fuente:EFE/All/Foto:X

 

TAGS: Melissa, convierte, huracán, categoría 1, Caribe 

COMENTARIOS

XEVA 91.7 FM

VILLAHERMOSA - TABASCO - MÉXICO
CONTACTO

CABINA XEVA
993 3136103 Ext. 2025 y 2026

VENTAS XEVA
993 3136103 Ext. 2017 y 2019

DIRECCIÓN

Paseo Usumacinta s/n Esq Ayuntamiento. Col Gil y Sáenz, Villahermosa, Tabasco


logo xeva

logo yafm
Todos los derechos reservados